Chargement...

  • 12
    observations

  • 16
    territoires

  • 4
    observateurs
    1
    organisme

  • Première observation
    2001

  • Dernière observation
    2010

Informations espèce

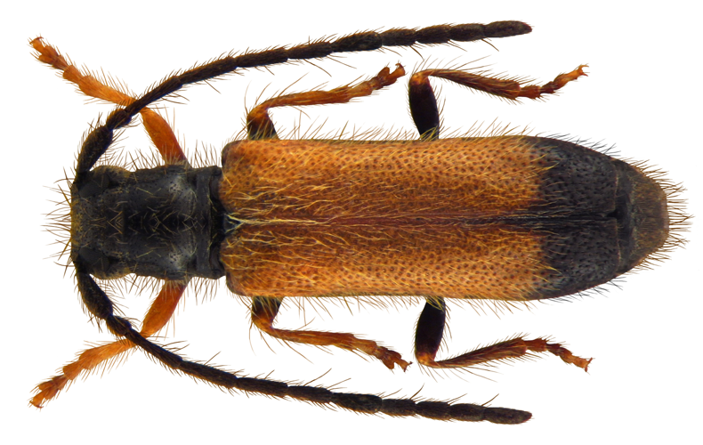
Leptura praeusta Linnaeus, 1758 | Tetrops praeusta (Linnaeus, 1758) |

Observations par classes d'altitudes

Observations mensuelles

Provenance des données