Chargement...

  • 9
    observations

  • 7
    territoires

  • 4
    observateurs
    1
    organisme

  • Première observation
    2020

  • Dernière observation
    2025
  • LPO Auvergne-Rhône-Alpes
    Participation à 9 Observations
    Part d'aide à la prospection : 100.00 %

    Fiche organisme

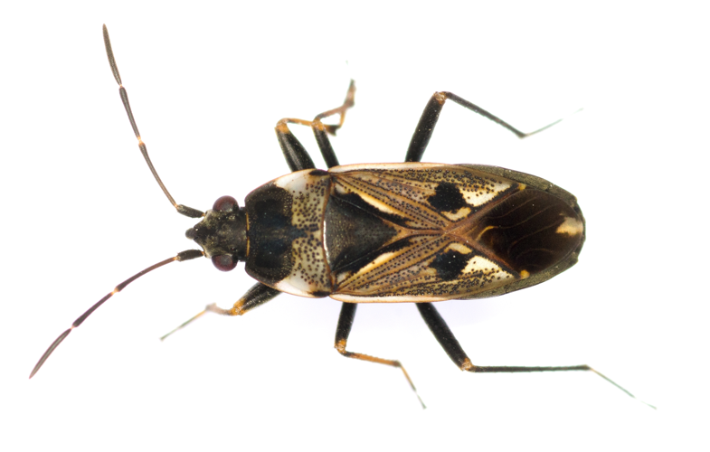
Informations espèce

Aphanus vulgaris (Schilling, 1829) | Pachymerus vulgaris Schilling, 1829 | Raglius vulgaris vulgaris (Schilling, 1829) |

Observations par classes d'altitudes

Observations mensuelles

Provenance des données